Amtliche Bekanntmachungen, öffentliche Beteiligungen zur Stadtplanung
Nach Datum sortieren ▲
Bebauungsplan „Einkaufszentrum Lausitz-Park“ – öffentliche Auslegung des Bebauungsplanentwurfes30.05.2022
Bebauungsplan „Schwimmende Photovoltaikanlage Cottbuser Ostsee“ – öffentliche Auslegung des Bebauungsplanentwurfes30.05.2022
S/70/127Bebauungsplan Nr. S/70/127 „Wohngebiet Hardenbergstraße“ – Bekanntmachung des Aufstellungsbeschlusses und Frühzeitige Unterrichtung der Öffentlichkeit03.07.2022Satzung der Stadt Cottbus über das besondere Vorkaufsrecht für das Gebiet des Stadtfeldes18.07.2022
Bebauungsplan „Cottbuser Hauptstrand“ sowie Änderung des Flächennutzungsplanes – Bekanntmachung des Aufstellungs- bzw. Einleitungsbeschlusses03.09.2022
Bebauungsplan „Südhof Döbbrick“ sowie Änderung des Flächennutzungsplanes – Bekanntmachung des Aufstellungs- bzw. Einleitungsbeschlusses03.09.2022
N/32/129Bebauungsplan Nr. N/32/129 „Wohngebiet Richard-Wagner-Straße“ – Aufstellungsbeschluss15.10.2022
N/34/131Bebauungsplan Nr. N/34/131 „Wohngebiet Feldstraße“ – Aufstellungsbeschluss15.10.2022
Bebauungsplan „Wohngebiet Jahnstraße, Willmersdorf“ – Aufstellungsbeschluss15.10.2022
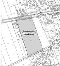
Bebauungsplan „Kolkwitzer Straße Süd 1“ und Änderung des Flächennutzungsplanes im Parallelverfahren (11. Änderung) – öffentliche Auslegung01.11.2022
Bebauungsplan „Wohngebiet Dissener Straße, Sielow“ – Bekanntmachung des Aufstellungsbeschlusses19.11.2022
N/33/118Bebauungsplan Nr. N/33/118 „Saspow Grünstraße“ – Öffentliche Auslegung des Bebauungsplanentwurfes28.11.2022
O/15/132Bebauungsplan Nr. O/15/132 „Wohngebiet ehemalige Mentana“ – Aufstellungsbeschluss21.01.2023
Bebauungsplan Wohngebiet Dissenchener Binnendüne I und Änderung des Flächennutzungsplan (06. Änderung) – Öffentliche Auslegung15.02.2023
W/50/136Frühzeitige Beteiligung der Öffentlichkeit zum Bebauungsplan Nr. W/50/136 „Kleingartenanlage Kolkwitzer Straße Süd“ sowie zur Änderung des Flächennutzungsplanes24.02.2023
Erneute Öffentliche Auslegung des Bebauungsplanentwurfes „Energieacker Cottbuser Ostsee“
sowie zur 9. Änderung des Flächennutzungsplanes (FNP)31.03.2023Aufstellungsbeschluss zum Bebauungsplan „Wohngebiet Siedlerstraße, Groß Gaglow“24.04.2023
Veränderungssperre „Feuer- und Rettungswache II – Ewald-Haase-Straße“ – Amtliche Bekanntmachung24.04.2023
Bebauungsplan „Baugebiet an der Madlower Chaussee/Autohaus Schulze“, Groß Gaglow – Öffentliche Auslegung17.05.2023
Veränderungssperre für das Gebiet des Bebauungsplanes „Wohngebiet Siedlerstraße, Groß Gaglow“17.05.2023
Bebauungsplan „Einkaufszentrum Lausitz-Park“ – öffentliche Auslegung des Bebauungsplanentwurfes30.05.2022
Bebauungsplan „Schwimmende Photovoltaikanlage Cottbuser Ostsee“ – öffentliche Auslegung des Bebauungsplanentwurfes30.05.2022
S/70/127Bebauungsplan Nr. S/70/127 „Wohngebiet Hardenbergstraße“ – Bekanntmachung des Aufstellungsbeschlusses und Frühzeitige Unterrichtung der Öffentlichkeit03.07.2022Satzung der Stadt Cottbus über das besondere Vorkaufsrecht für das Gebiet des Stadtfeldes18.07.2022
Bebauungsplan „Cottbuser Hauptstrand“ sowie Änderung des Flächennutzungsplanes – Bekanntmachung des Aufstellungs- bzw. Einleitungsbeschlusses03.09.2022
Bebauungsplan „Südhof Döbbrick“ sowie Änderung des Flächennutzungsplanes – Bekanntmachung des Aufstellungs- bzw. Einleitungsbeschlusses03.09.2022
N/32/129Bebauungsplan Nr. N/32/129 „Wohngebiet Richard-Wagner-Straße“ – Aufstellungsbeschluss15.10.2022
N/34/131Bebauungsplan Nr. N/34/131 „Wohngebiet Feldstraße“ – Aufstellungsbeschluss15.10.2022
Bebauungsplan „Wohngebiet Jahnstraße, Willmersdorf“ – Aufstellungsbeschluss15.10.2022
Bebauungsplan „Kolkwitzer Straße Süd 1“ und Änderung des Flächennutzungsplanes im Parallelverfahren (11. Änderung) – öffentliche Auslegung01.11.2022
Bebauungsplan „Wohngebiet Dissener Straße, Sielow“ – Bekanntmachung des Aufstellungsbeschlusses19.11.2022
N/33/118Bebauungsplan Nr. N/33/118 „Saspow Grünstraße“ – Öffentliche Auslegung des Bebauungsplanentwurfes28.11.2022
O/15/132Bebauungsplan Nr. O/15/132 „Wohngebiet ehemalige Mentana“ – Aufstellungsbeschluss21.01.2023
Bebauungsplan Wohngebiet Dissenchener Binnendüne I und Änderung des Flächennutzungsplan (06. Änderung) – Öffentliche Auslegung15.02.2023
W/50/136Frühzeitige Beteiligung der Öffentlichkeit zum Bebauungsplan Nr. W/50/136 „Kleingartenanlage Kolkwitzer Straße Süd“ sowie zur Änderung des Flächennutzungsplanes24.02.2023
Erneute Öffentliche Auslegung des Bebauungsplanentwurfes „Energieacker Cottbuser Ostsee“
sowie zur 9. Änderung des Flächennutzungsplanes (FNP)31.03.2023Aufstellungsbeschluss zum Bebauungsplan „Wohngebiet Siedlerstraße, Groß Gaglow“24.04.2023
Veränderungssperre „Feuer- und Rettungswache II – Ewald-Haase-Straße“ – Amtliche Bekanntmachung24.04.2023
Bebauungsplan „Baugebiet an der Madlower Chaussee/Autohaus Schulze“, Groß Gaglow – Öffentliche Auslegung17.05.2023
Veränderungssperre für das Gebiet des Bebauungsplanes „Wohngebiet Siedlerstraße, Groß Gaglow“17.05.2023